Přejít k hlavnímu obsahu
Zpět na článek 0 z 6

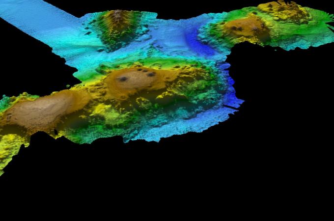
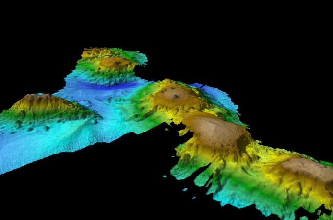
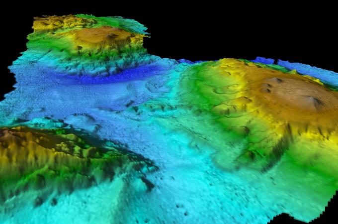
Řetěz dávných podmořských sopek je významnou dálnicí pro kytovce