Přejít k hlavnímu obsahu
100+1 zahraniční zajímavost logo
  • Historie
  • Příroda
  • Revue
  • Vesmír
  • Válka
  • Věda
  • Zajímavosti
  • Cestování
Předplatné
Věda

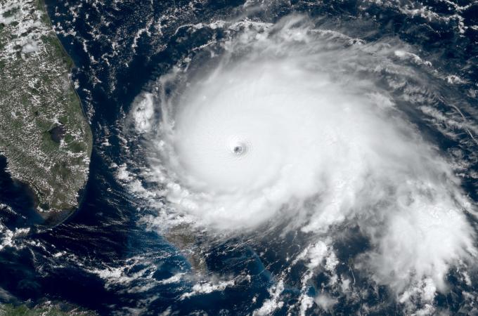
Atlantik se mění v hurikánovou dálnici: Riziko seskupených bouří stouplo desetkrát

Severní Atlantik se stal novým světovým centrem hurikánových shluků. Pravděpodobnost vzniku vícenásobných bouří se za půlstoletí zvýšila desetkrát.

15.08.2025

Nejčtenější

Náhled
Věda

Zneklidňující nález: Na ostrově Trindade byly objeveny „horniny“ z plastu

23.03.2023
Náhled
Věda

Golfský proud zpomaluje na samotnou hranici únosnosti a mohl by zmizet

06.03.2021
Náhled
Zajímavosti

Na konci světa: Jaké je nejodlehlejší obydlené místo na Zemi?

06.02.2022
Náhled
Zajímavosti

Atlantik míří k bodu zvratu: Co by zastavení Golfského proudu znamenalo pro Evropu?

15.02.2024

Náhled
Zajímavosti

Jeden z nejizolovanějších ostrovů světa se mění v dokonalou přírodní rezervaci

19.11.2020
Náhled
Zajímavosti

Předpověď NOAA: Letošní Atlantická hurikánová sezóna má být velmi silná

17.04.2020
Náhled
Věda

Hurikán Lorenzo se stal historicky nejsilnější bouří na východě Atlantiku

02.10.2019
Náhled
Věda

Podmořský objev: U východního pobřeží USA se skrývá sladkovodní jezero

26.06.2019
Náhled
Zajímavosti

Tajemná Atlantida: Zrozená z vody a pohlcená vodou

12.08.2018
Náhled
Zajímavosti

Výpravy bez návratu: Marné hledání Severozápadní cesty

12.07.2018
Náhled
Věda

Klimatická brzda: Globální oteplování zpomaluje proudy v Atlantiku

17.04.2018
Náhled
Věda

Obyvatelstvo dávné Británie a Irska se hroutilo kvůli výkyvům klimatu

22.11.2017
Náhled
Věda

Hurikán Ophelia se stal nejsilnější známou bouří východního Atlantiku

17.10.2017
Náhled
Zajímavosti

Zpátky do minulosti: Nahlédněte do útrob zaoceánského parníku Queen Mary

14.10.2017
Náhled
Věda

Rozsáhlé větrné farmy v severním Atlantiku by stačily pro celou Zemi

10.10.2017
Náhled
Věda

V Atlantiku dokončili podmořský datový kabel s rekordní kapacitou

28.09.2017
Náhled
Věda

Divy moře: U pobřeží Severní Karolíny se zjevil nový ostrov

03.07.2017

Pagination

  • First page « První
  • Předchozí stránka ‹‹
  • Stránka 1
  • Aktuální stránka 2
  • Stránka 3
  • Následující stránka ››
  • Poslední stránka Poslední »
Subscribe to Atlantik
Nové časopisy Extra Publishing
RSS O serveru (Redakce)
© Extra Publishing, s. r. o. 2007–2011. ISSN 1804-9907