Předpověď NOAA: Letošní Atlantická hurikánová sezóna má být velmi silná
Meteorologové a oceánografové předpovídají pro letošní rok nadprůměrně silnou sezónu hurikánů
Oficiálně startuje hurikánová sezóna v Atlantiku až 1. června, několik nezávislých studií již nyní ale předpovídá, že ta letošní bude opět mimořádně silná. Na vině je podle odborníků prohřátý oceán v karibské oblasti. Teplý a vlhký vypařující se vzduch je palivem pro hurikány.
Popáté v řadě nad průměrem
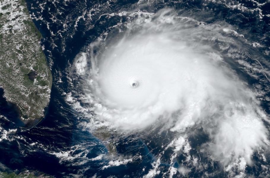
Především pro obyvatele Karibiku a východního pobřeží Spojených států to není dobrá zpráva. Vědci pro letošní rok předpovídají až 18 pojmenovaných tropických bouří (s rychlostí větru nad 60 km/h), přičemž v polovině z nich by se mohlo jednat o hurikány (s rychlost větru přes 120 km/h). Podle Národního úřadu pro oceán a atmosféru (NOAA) jde o nadprůměrná čísla – dlouhodobý průměr NOAA udává 12 bouří a 6 hurikánů. Tři z devíti očekávaných hurikánů by mohly přerůst do kategorie superhurikánu s rychlostí větru nad 178 kilometrů za hodinu.
TIP: Hurikány, bouře a tajfuny: Takhle vypadají největší pozemské superbouře z vesmíru
Pokud se předpovědi odborníků naplní, bude letošní sezóna hurikánů horší než ta loňská a celkově již pátá v řadě s nadprůměrným počtem bouří a hurikánů. V loňském roce se nad Atlantikem „urodilo“ 18 bouří, 6 hurikánů a 3 superhurikány. Nejsilnějším byl superhurikán Dorian, který dosáhl kategorie 5, s maximální rychlostí větru 295 kilometrů v hodině. Škody na majetku způsobené hurikány se v loňském roce vyšplhaly přes 11 miliard dolarů.




